Properties For Sale

The City of Columbus is now accepting applications for the properties listed below. Take a moment to read through the instructions to learn more about submitting an application. The sales contracts are specific for the property so take a moment to check you have chosen the correct contract by checking the address listed under the property description on the last page. Applications are accepted on an ongoing basis but uncompleted and incorrect contracts will not be considered.

Please take a moment to read through the following information:

Instructions for Making Proposals for Purchase of Land

Each proposal shall consist of, and shall be made by submitting to the City, the following items:

  1. Two (2) signed Purchase and Sale Agreements in the form provided by the City
  2. A Statement of Qualifications and Financial Responsibility for each bidder
  3. A narrative description of proposed improvements to the property which shall include an estimate of the minimum cost thereof, along with preliminary plans for the improvements proposed to be constructed on the property
  4. A check made payable to City of Columbus equal to 10 percent (10%) of the proposed Purchase Price
  5. A copy of a current Columbus, Georgia Business License
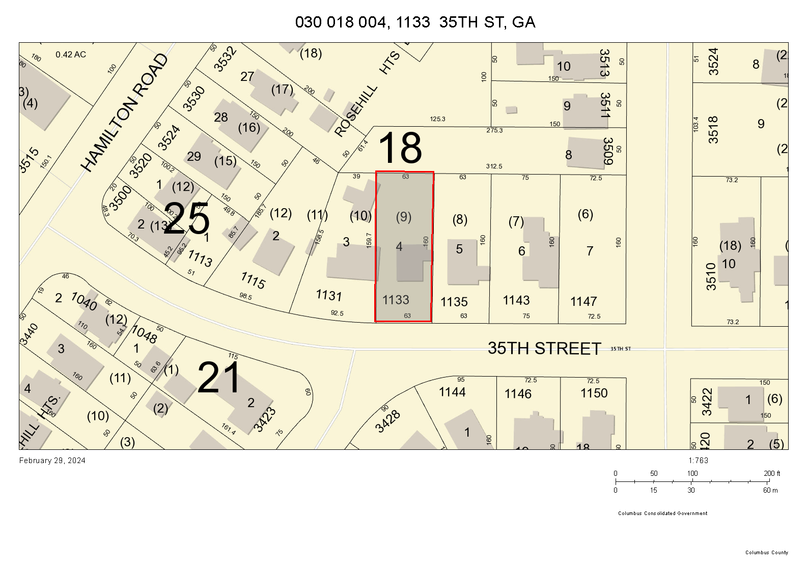
Parcel Boundaries' map for 1133 35th St
Click here for larger view

Address
1133 35th St
Parcel ID
030 018 004
Appraised Value
$22,500.00
Sales Contract »
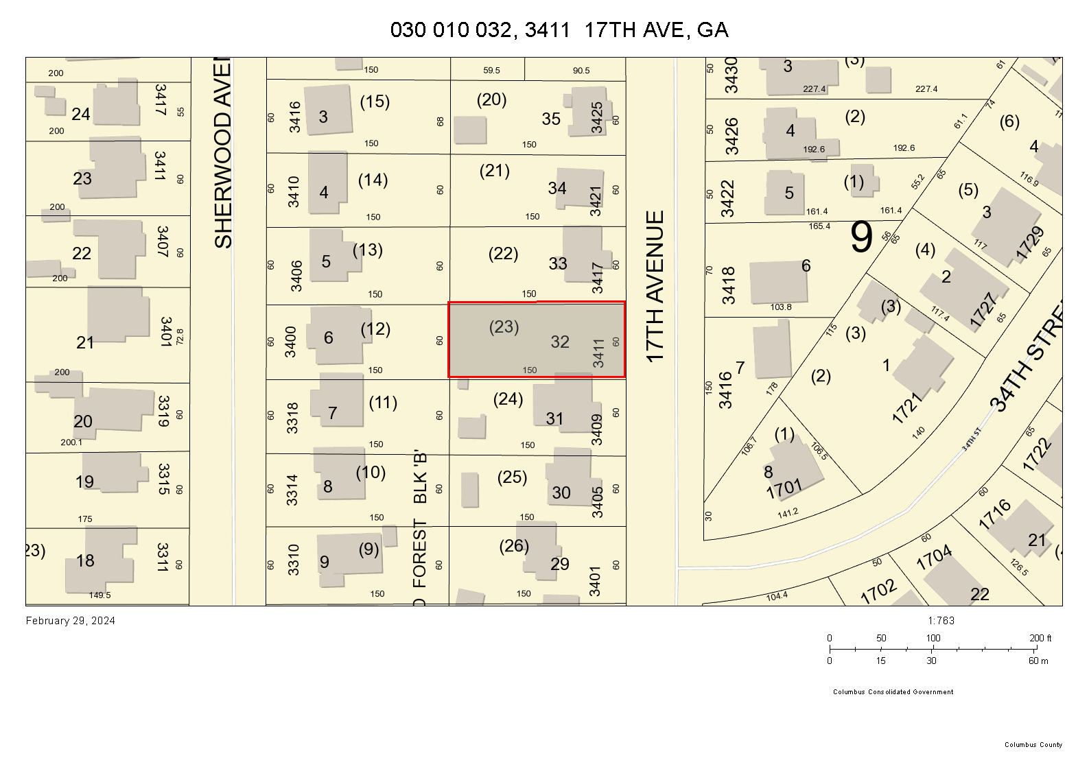
Parcel Boundaries' map for 3411 17th Ave
Click here for larger view

Address
3411 17th Ave
Parcel ID
030 010 032
Appraised Value
$20,550.00
Sales Contract »
Parcel Boundaries' map for 3645 Saint Mary's Rd
Click here for larger view

Address
3645 Saint Mary's Rd
Parcel ID
065 029 021
Appraised Value
$16,500.00
Sales Contract »
Parcel Boundaries' map for 515 Veterans Pkwy
Click here for larger view

Address
515 Veterans Pkwy
Parcel ID
020 011 005
Appraised Value
$66,000.00
Sales Contract »
Parcel Boundaries' map for 517 Veterans Pkwy
Click here for larger view

Address
517 Veterans Pkwy
Parcel ID
020 011 006
Appraised Value
$71,500.00
Sales Contract »
Parcel Boundaries' map for 719 Veterans Pkwy
Click here for larger view

Address
719 Veterans Pkwy
Parcel ID
019 030 008
Appraised Value
$60,000.00
Sales Contract »
Parcel Boundaries' map for 721 Veterans Pkwy
Click here for larger view

Address
721 Veterans Pkwy
Parcel ID
019 030 009
Appraised Value
$75,000.00
Sales Contract »
Parcel Boundaries' map for 723 Veterans Pkwy
Click here for larger view

Address
723 Veterans Pkwy
Parcel ID
019 030 010
Appraised Value
$50,000.00
Sales Contract »